MAKASSAR, UNHAS.TV - Topan Ragasa yang melintas di wilayah selatan China mengakibatkan sekitar dua juga warga Provinsi Guangdong terpaksa harus mengungsi ke wilayah aman.
Topan dengan kekuatan raksasa ini masuk sebagai badai kategori 5 dan warga menyebut topan ini sebagai Raja Badai saking besarnya dampak kerusakan dari fenomena alam ini.
Saat melintas di Taiwan, Topan Ragasa mengakibatkan banjir besar itu dan merendam rumah-rumah warga termasuk kendaraan yang berada di wilayah itu. Sebanyak 14 warga dinyatakan tewas dan 120 orang dinyatakan hilang akibat topan tersebut.
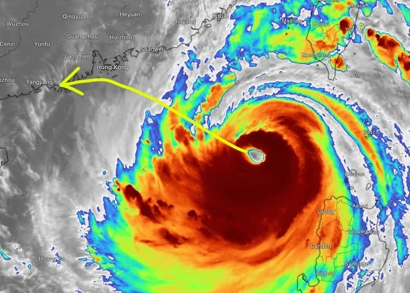
Dari pantauan satelit, Topan Ragasa selama berhari-hari melintas di sekitar Laut China Selatan dan membawa angin kencang dan hujan lebat ke wilayah Philipina, Taiwan, Hong Kong, dan selatan China.
Namun, wilayah Guangdong termasuk yang paling terdampak. Sebelum Topan Ragasa melintas di wilayah itu, beberapa hari sebelumnya Topan Mitag mengakibatkan longsor. Pemerintah menyebutkan, longsoran itu akibat tanah yang tidak stabil karena terlalu lembab oleh udara yang dibawa oleh Topan Mitag.(*)






-300x171.webp)

